Fotos Fotos
Datos Volver

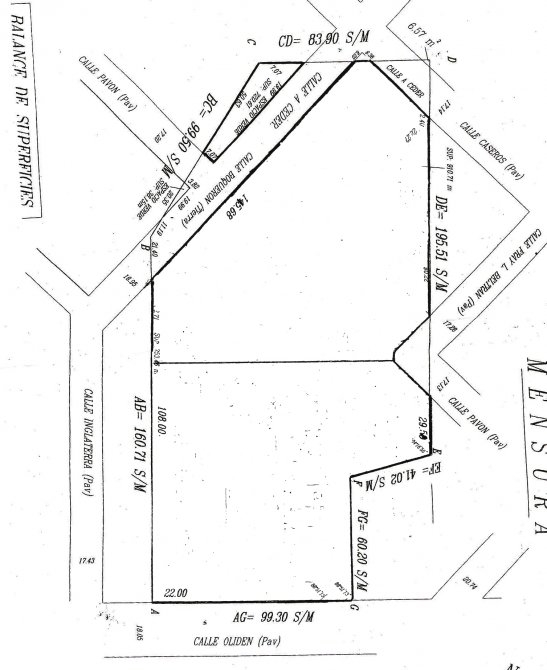
FRACCIÓN GRANDE EN LOMAS DE ZAMORA

Location oliden 1100 - Lomas de Zamora

Venta
Consultar
Propiedad

Fracciones

Datos Acerca de la propiedad

Ricatti &  Asoc vende una interesante fracción bien ubicada en la localidad de Lomas de Zamora.

Detalles
En cuanto a los indicadores FOT y FOS,  el terreno entraria en el articulo 3.3.12 (urbanizaciones especiales) del codigo de planeamiento, el cual dice lo siguiente
¨TODA FRACCION CUYA SUPERFICIE SEA IGUAL O MAYOR A 1 HECTAREA, O TENGA CARACTERISTICAS DE MANZANA CONFORMADA PODRA SER SOMETIDA A ESTUDIOS ESPECIALES POR PARTE DE LA DIRECCION DE PLANEAMIENTO, A FIN DE OBTENER NORMAS URBANISTICAS PARTICULARIZADAS PARA LA FRACCION¨
Con lo cual, a fin de obtener el FOT y FOS deseados, habría que presentar un anteproyecto en la municipalidad, y tomando como referencia el desarrollo que hizo Ezquerro a unas cuadras, seguramente pueda obtenerse de entrada un FOT de 1,6 sin problemas.
 
Con respecto a la apertura de la calle, el desarrollo debería presentarse ante la municipalidad como barrio cerrado, de esa manera entraria bajo la ley provincial 27/98 de barrios cerrados, la cual el articulo 5 establece lo siguiente
 
Artículo 5°.- La propuesta de barrios cerrados que sin afectar el trazado de las calles públicas y mayores de 4 Has. para el área urbana o 16 Has. para las áreas complementarias o rural, será acompañado de un estudio urbanístico referido al emprendimiento y su área de influencia que justifique su razonabilidad y/o alto valor paisajístico y/o la condición de predio de recuperación y/o su ecuación económico-financiera.
Entonces quedarian 28000 metros netos para el desarrollo.


Metodo de pago: mitad en metros y la otra mitad se puede llegar a ver algo de financiamiento.
CONSULTAR PARA MAS INFORMACIÓN.

Comodidades Comodidades

Ver más vermas

Datos Ubicación

Venta

Consultar

Datos Propiedades Relacionadas

Contacto

¿Te interesa esta propiedad?
Contactate ahora

Ver
Chatea con nosotros
Whatsapp